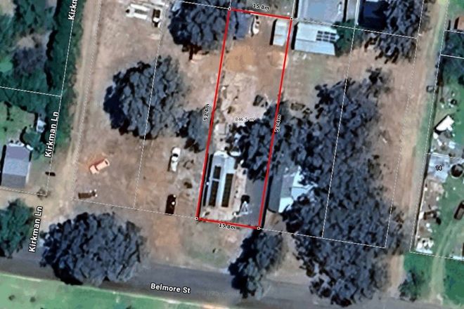
46 Belmore Street, WOODSTOCK, NSW, 2793

bed-icon 3
bath-icon 1
car-icon 2
Land Size: 860 sqm
Sold Prices
Sold Date Sold Price
Dec 2025 Price Withheld
Photo 1
Recent advertisements
Listing Date Listing Type Listed Price Link
2025-10-31 For sale $385,000 Link
2024-04-17 For rent $370 Link
2023-11-17 For sale Sale: $325,000 - $350,000 Link
2023-10-20 For sale For Sale Link
2019-12-13 For sale $195,000 Link
2019-10-25 For sale 210000 Link
2019-10-04 For sale $225,000 Link
2019-06-28 For sale $235,000 Link
Price Per SQM Co-Efficient Curve ™

Below you will find a price per sqm scatterplot chart of sold properties for the postcode 2793. This chart reveals the relationship between sold prices verses land size. Feel free to click on/hover over the particular dot points as they will highlight the property for that sale. You are also able to compare the relationship by clicking on previous years as offered below the chart. A "best fit" curve represents the relative relationship between the sold price and landsize. We call this the Price Per SQM Co-Efficient Curve™. A regional comparison is provided by the purple curve.